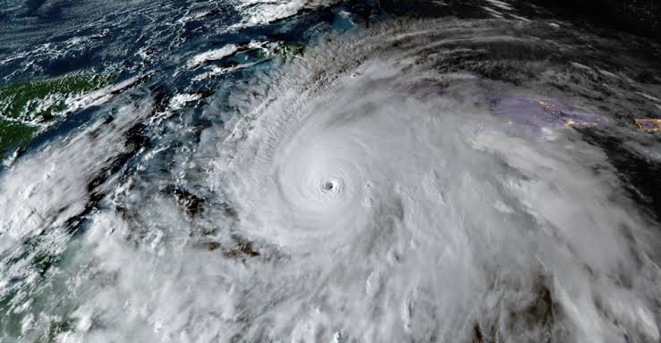
Haiti declares three-day national mourning after Hurricane Melissa
Haiti declares three-day national mourning after Hurricane Melissa Read More »
The Office of the National Security Adviser and security chiefs have announced that they will brief the media on Monday afternoon.
NSA Office To Brief Media On Trump’s Christian Genocide Claim Read More »
Tottenham boss Thomas Frank has confirmed Micky van de Ven and Djed Spence apologised to him for ignoring their head coach at full-time against Chelsea; Van de Ven and Spence walked past Frank following the 1-0 defeat at home; Frank insisted it was not intentionally disrespectful ⚽️⚽️⚽️ 😍 USE the BET9JA Promotion Code YOHAIG for
Scunthorpe United have confirmed that their player Jonathan Gjoshe was injured in the horrific Huntingdon train attack. Eleven people were treated in hospital after a mass stabbing on the 6.25pm tr… ⚽️⚽️⚽️ 😍 USE the BET9JA Promotion Code YOHAIG for a ₦100,000 Bonus!
Scunthorpe confirm player among those injured in Huntingdon train stabbings Read More »
“It is also imperative to place on record that Governor Oyebanji has been lodging in a rented accommodation…
Ekiti govt denies construction of new N1.8bn gov’s lodge in Abuja Read More »
Governor Abdullahi Sule says Nasarawa’s local processing policy has attracted $850m lithium investment and boosted industrial growth.
The breakdown occurred amid a broader crypto market downturn, with BNB’s move possibly reflecting spillover effects from the drawdown.
BNB Slides 6% to $1,020 as Price Breaks Below Key $1,080 Support Level Read More »
The Chief of the Naval Staff, Vice Admiral Idi Abbas, has approved the appointment and redeployment of 65 Rear Admirals to various commands, institutions,
FULL LIST: Nigerian Navy redeploys 65 Rear Admirals Read More »
Presidential aide Temitope Ajayi debunks reports of Tinubu’s meeting with US Vice President J.D. Vance, calling them false.
Temitope Ajayi: Tinubu Not Meeting US Vice President Vance, Reports Completely False Read More »